Skip to the article content

Lead-in conduit (LIC) build process





Your responsibilities


  • Submit a service plan with your application
  • Excavate the trenches according to our guidelines
  • Supply in-home cabling using our resources for your nominated technology
  • Apply with us to pre-install the nbn connection box (recommended)



Our responsibilities


  • Install a local network cable located in the street
  • Connect the property to the nbn network using the LIC
  • Notify you that the site is in service, so that the occupant can place an order with their preferred phone or internet service provider
  • Connecting eligible non-premises (nbn Smart Places) locations to the nbn network. Read an important note on nbn Smart Places



Important note

nbn is accepting applications for builds to non-premises locations in our existing nbn Ready For Services (RFS) footprint and new developments. Service connectivity availability will depend on service providers offering nbn Smart Places, and timing of product availability will be at provider discretion.



Do you need to upload a service plan?


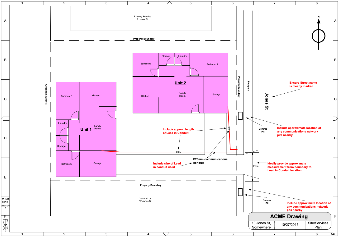
Yes, nbn needs to review the location of the Lead in Conduit (piping from the property boundary to external wall of the house) to verify the connection specifications.


Example Service Plan Download (PNG 154 KB)

You can upload your service plan with your nbn® New Developments application. You can manage your application through the nbn® New Developments Portal.









Our guidelines


Preparing your property checklist

This checklist outlines the requirements for trench and LICs, including examples of LIC configurations.

Download (PDF 300 KB)

Cabling resources

In-home cabling for the nbn network for your nominated technology must be done by registered cablers using our guidelines. You may need to supply in-home cabling for the pre-installation of the nbn connection box.







Work with an nbn® trained New Developments supplier


We encourage developers (big and small) to seek the assistance and support of an industry professional or an nbn trained New Developments supplier - designer or installer. As it’s your responsibility to ensure the design and build of the nbn infrastructure within your property boundary meets our standards, the assistance of an expert can be extremely helpful.